Descripción

La Junta de Gobierno Local ha aprobado hoy sendas licencias de obras (proyecto básico) para la construcción de 63 viviendas, garaje, trasteros, zonas comunes y edificio comercial en la parcela 16 de Plan Parcial Arcas Reales, así como de un edificio en bloque para 39 viviendas libres, garaje, trasteros y zona comunitaria con piscina en la calle Lille c/v a la calle Arco. Asimismo, ha dado luz verde al proyecto básico y de ejecución de 50 viviendas en altura y 14 unifamiliares en una parcela del Polígono 2 del Plan Parcial ‘El Peral’.


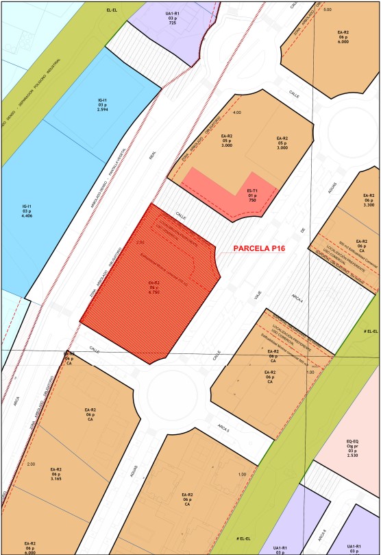
63 viviendas en Arcas Reales


Se trata de obras de nueva planta para la construcción de un edificio de 63 viviendas en dos bloques, que se distribuyen entre las plantas baja a quinta con garajes y trasteros en el sótano. En el extremo norte de la parcela se realizará un espacio para uso comercial. La edificabilidad son 6.741,21 m2 construidos de los que 750 m2 se destinan al uso comercial referido.

El programa residencial consta de una planta sótano común a los 2 bloques de viviendas, destinada a garaje y trasteros, más dos bloques sobre rasante ambos de 6 plantas (B + V), el primero de ellos con 29 viviendas y el segundo con 34.

El conjunto proyectado da respuesta por tanto a los siguientes programas y usos:


FASE 1: Programa Residencial

  • 63 viviendas.
  • 63 trasteros.
  • 90 plazas de garaje para turismos (4 de ellas dobles, para 1 turismo y 1 motocicleta, plazas 51, 56, 60 y 62).
  • 5 plazas de estacionamiento para motocicletas.
  • Elementos comunes.
  • Cuartos de instalaciones y servicios.

FASE 2: Programa Comercial

Edificio comercial en bruto, sin uso definido.

  • 16 plazas de aparcamiento en superficie.

Todas las viviendas están dotadas de salón-comedor, cocina, (o salón-comedor-cocina, en su defecto), baño, aseo, dormitorios, terrazas y armarios empotrados e incluyen patio o terraza con espacio destinado a tendedero, oculto a vía pública mediante vidrios traslúcidos. Son todas exteriores, abriendo huecos bien sobre la vía pública o sobre espacio libre de parcela.

PARCELA 16 DEL P.P. ARCAS REALES 1PARCELA 16 DEL P.P. ARCAS REALES 1

PARCELA 16 DEL P.P. ARCAS REALES 2PARCELA 16 DEL P.P. ARCAS REALES 2


39 viviendas libres en calle Lille c/v a la calle Arco


Se trata de obras de nueva planta para la construcción de un edificio en bloque para un total de 39 viviendas libres, 39 plazas de aparcamiento y 39 trasteros, con urbanización interior dotada de cuarto de comunidad, piscina y zona de juegos infantiles, en una parcela vacante de edificación.

La parcela cuenta con dos frentes recayentes a calle Lille y calle Arco, por donde se plantea el vado de acceso al garaje comunitario situado en la planta sótano. El edificio se organiza en dos portales independientes con accesos desde cada una de las calles; cuenta con planta baja más seis plantas con terrazas a nivel de planta séptima, comunicadas desde las viviendas de planta 6ª por escaleras de caracol. Tiene forma de polígono irregular y una superficie de 1.430,50 m2.

Del total de las 39 viviendas, 13 son de 1 dormitorio, 20 son de 2 dormitorios y 6 son de 3 dormitorios.

Las viviendas responden, de manera generalizada, a un mismo patrón en el que se diferencia la zona de día de la de noche. Todas las viviendas cuentan con terrazas en su distribución. La terraza de las viviendas de planta baja, así como la parte ajardinada de la terraza de la vivienda ‘A’ del portal 2, son descubiertas mientras que las terrazas de las viviendas de las plantas 1ª a 6ª de manera general son cubiertas. Por otro lado, las terrazas de las viviendas de la planta sexta a las que se sube mediante escaleras de caracol y se sitúan en la planta del casetón, son descubiertas, según puede verse grafiado en los planos del proyecto.

Se proyecta un único sótano dedicado a garaje, donde se distribuyen 39 plazas para automóviles.

CALLE LILLE C-V CALLE ARCO 1CALLE LILLE C-V CALLE ARCO 1

CALLE LILLE C-V CALLE ARCO 2CALLE LILLE C-V CALLE ARCO 2

50 viviendas y 14 unifamiliares en ‘El Peral’


Este proyecto de ejecución tiene por objeto la construcción de dos edificios para 50 viviendas y para 14 viviendas unifamiliares, todas protegidas con aparcamientos para 74+14 vehículos y 64 trasteros, así como el tratamiento y urbanización del terreno no ocupado en la parcela 03.2 del Polígono 2 del Plan Parcial ‘El Peral’, limitada al norte por la calle Lima; por el oeste por la calle Acerola; por el sur por la calle Pomelo, y por el este por la calle Membrillo.

El edificio se integra en un área de movimiento ya establecida, siguiendo las directrices del planeamiento urbano. Se ubica en una parcela específica dentro de una manzana más grande, reservada para usos no residenciales, de 8.332 m2.


Características del edificio:

  • Viviendas: Se proyecta un total de 64 viviendas distribuidas en tres tipos de edificios:

- Dos bloques de 5 plantas con 34 y 16 viviendas, respectivamente.

- Un edificio de 2 plantas con 14 viviendas unifamiliares adosadas.


  • Urbanización interior: Se incluye la urbanización de la parcela con piscina, pista de pádel y accesos para los edificios.
  • Distribución: Los edificios se organizan en tres bandas paralelas, siguiendo las normas de ordenación urbanística.

Descripción de los bloques:

  • Bloques de 5 plantas:

- Dos portales simétricos por edificio.

- Cada planta cuenta con 4 viviendas de 3 dormitorios.

- Orientación este-oeste.

- Núcleo central con escalera y ascensor.

- Plantas baja y ático con distribuciones específicas (portales, locales comunes, etc.).


  • Viviendas unifamiliares:

- Edificio de 2 plantas.

- 14 viviendas adosadas.