Descripción

La Junta de Gobierno Local ha aprobado en su sesión de hoy la concesión de sendas licencias de obras (proyecto básico), para la construcción de 80 viviendas libres con trasteros, garajes y piscina, y 6 locales sin actividad definida en Paseo Farnesio nº 71, Parcela 4.1 -SE.APP. 54-01 ‘Cuarteles de Artillería y Conde Ansúrez’, solicitada por Brosh Desarrollos Inmobiliarios, y de otras 22 unifamiliares pareadas y adosadas en la Parcela 16 de ‘La Galera’, solicitada por Algadiz Inmo.


80 nuevas viviendas en ‘Cuarteles de Artillería y Conde Ansúrez’

El cuanto a la licencia relativa a la construcción de 80 nuevas viviendas en ‘Cuarteles de Artillería y Conde Ansúrez’, se ha tramitado una segregación y un Estudio de Detalle para generar las parcelas 4.1 y 4.2. de la parcela 4, del SE.APP 54-01 ‘Cuarteles de Artillería y Conde Ansúrez’ y la reordenación del número de viviendas entre fases.

El objeto del Estudio de Detalle es redefinir el número de viviendas asignado a cada subparcela segregada. La subparcela 4.1, con una superficie de 3.063 m2, pasará de tener un número máximo de 96 viviendas a 80, y la subparcela 4.2 pasará de un máximo de 97 viviendas a 113. Los demás parámetros permanecen invariables.

Cabe recordar que el Ayuntamiento de Valladolid y la Junta de Compensación del Sector ‘Cuarteles de Artillería y Conde Ansúrez’, materializaron la recepción de la 1ª Fase de las obras de urbanización del ámbito APE 59 ‘Cuarteles de Artillería y Conde Ansúrez’ en Valladolid el pasado 11 de enero de 2024.

Cuarteles Artillería 2Cuarteles Artillería 2


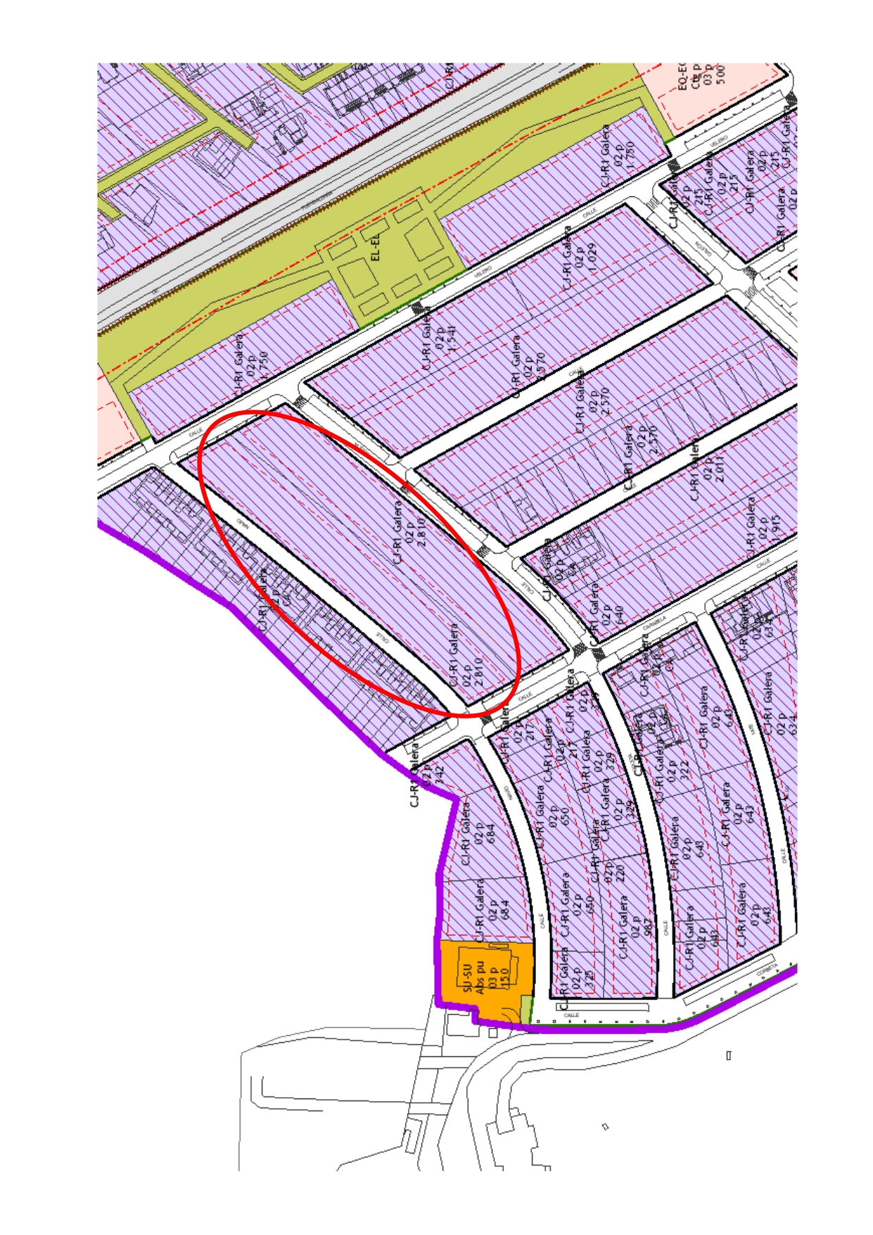
22 nuevas viviendas en ‘La Galera


En lo que respecta a ‘La Galera’, el Ayuntamiento recibió las obras de urbanización

de este Sector el 20 de diciembre de 2010. Desde entonces, el mismo se ha ido desarrollando lentamente con muchos momentos de parón constructivo. Recientemente se han reactivado las licencias de viviendas unifamiliares aislados en las calles Navío, Goleta, Yate o Corbeta y Bergantín o 28 aislados y adosados en la Calle Velero.

En este caso, la licencia permitirá construir 22 viviendas adosadas frente a otras 23 que se levantaron al tiempo de recibir la urbanización, en el año 2010.

Los usos pretendidos, básico residencial –nivel I, vivienda libre– y uso básico de estacionamiento y garaje vinculado al anterior, se acomodan al uso previsto en la normativa urbanística para la parcela de referencia. El ámbito no presenta otras afecciones relativas a inundabilidad, carreteras, ferrocarril, vías aeroportuarias, vías pecuarias, dominio público hidráulico, zonas naturales protegidas ni de patrimonio cultural.

La edificabilidad de la parcela total es de 2.810 m2 conforme a la normativa del PGOU 2020.

JdG 04-03-24 22 viviendas La Galera_page-0001JdG 04-03-24 22 viviendas La Galera_page-0001